“Melissa” qasırğası Yamayka sahillərinə çatıb
29.10.2025 [17:32]
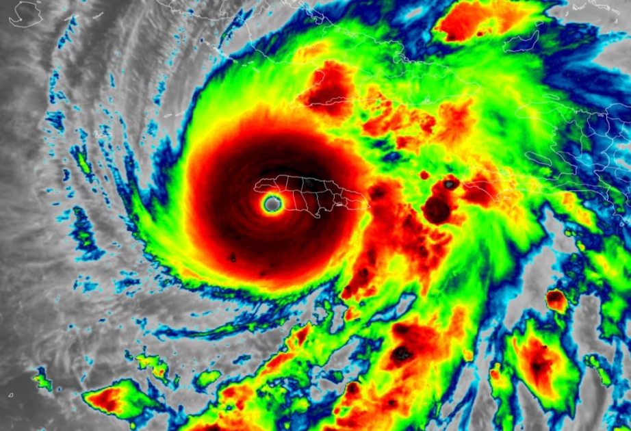
Atlantik okeanının ən güclü qasırğası kimi dəyərləndirilən “Melissa” Yamaykanın Nyu-Hope şəhərində sahilə çatıb.
AZƏRTAC xəbər verir ki, Milli Qasırğa Mərkəzinin açıqlamasına əsasən 5-ci kateqoriyalı qasırğanın sürəti saatda 300 kilometrə çatır.
Yamaykanın Baş naziri Endryu Holnes CNN-ə bildirib ki, “Melissa” qasırğası Yamaykaya fəlakətli ziyan vuracaq.
"Regionda, bəlkə də dünyanın heç bir yerində 5-ci kateqoriyalı qasırğaya tab gətirə biləcək heç bir infrastruktur yoxdur", - deyə o əlavə edib. Qasırğanın ada ölkəsinə dağıdıcı təsir yetirəcəyinə dair proqnozlar səsləndirilir. Yamayka heç vaxt 5-ci kateqoriyalı qasırğaya məruz qalmayıb və BMT onu "əsrin qasırğası" adlandırıb.
“Melissa” qasırğası artıq yeddi ölümə səbəb olub və bunlardan üçü hazırlıq zamanı Yamaykada, üçü Haitidə, biri Dominikan Respublikasında qeydə alınıb.
5-ci kateqoriya qasırğa Saffir-Simpson şkalasına əsasən ən yüksək göstəricidir.
Xəbər lenti
Hamısına baxİqtisadiyyat
29 Oktyabr 22:38
Dünya
29 Oktyabr 22:16
İdman
29 Oktyabr 21:42
Dünya
29 Oktyabr 21:30
Sosial
29 Oktyabr 21:18
Sosial
29 Oktyabr 20:51
İdman
29 Oktyabr 20:33
Maraqlı
29 Oktyabr 20:16
YAP xəbərləri
29 Oktyabr 20:10
Dünya
29 Oktyabr 19:50
İqtisadiyyat
29 Oktyabr 19:32
Maraqlı
29 Oktyabr 19:15
Gündəm
29 Oktyabr 19:13
YAP xəbərləri
29 Oktyabr 19:00
YAP xəbərləri
29 Oktyabr 18:09
Dünya
29 Oktyabr 17:32
Maraqlı
29 Oktyabr 16:58
Gündəm
29 Oktyabr 16:56
Sosial
29 Oktyabr 16:50
Dünya
29 Oktyabr 16:24
YAP xəbərləri
29 Oktyabr 16:03
Dünya
29 Oktyabr 15:42
Dünya
29 Oktyabr 15:19
YAP xəbərləri
29 Oktyabr 15:07
Dünya
29 Oktyabr 14:55
YAP xəbərləri
29 Oktyabr 14:45
Sosial
29 Oktyabr 14:43
Dünya
29 Oktyabr 14:20
YAP xəbərləri
29 Oktyabr 14:01
Sosial
29 Oktyabr 13:58
Gündəm
29 Oktyabr 13:57
Xəbər lenti
29 Oktyabr 13:55
Sosial
29 Oktyabr 13:53
Dünya
29 Oktyabr 13:51
Dünya
29 Oktyabr 13:49
Dünya
29 Oktyabr 13:25
YAP xəbərləri
29 Oktyabr 13:08
Sosial
29 Oktyabr 13:03
Dünya
29 Oktyabr 12:51
Dünya
29 Oktyabr 12:30
Maraqlı
29 Oktyabr 12:17
Siyasət
29 Oktyabr 11:47
Siyasət
29 Oktyabr 11:45
Siyasət
29 Oktyabr 11:26
Siyasət
29 Oktyabr 11:19
Sosial
29 Oktyabr 11:15
Hadisə
29 Oktyabr 11:14
İqtisadiyyat
29 Oktyabr 11:13
İqtisadiyyat
29 Oktyabr 11:12
Siyasət
29 Oktyabr 10:58
İqtisadiyyat
29 Oktyabr 10:32
Siyasət
29 Oktyabr 10:14
Ədəbiyyat
29 Oktyabr 09:51
Siyasət
29 Oktyabr 09:38
Analitik
29 Oktyabr 09:17
Analitik
29 Oktyabr 09:14
Sosial
29 Oktyabr 08:56
MEDİA
29 Oktyabr 08:31
Sosial
29 Oktyabr 08:11
Sosial
29 Oktyabr 08:11
Sosial
29 Oktyabr 08:09
Sosial
29 Oktyabr 07:47
Dünya
28 Oktyabr 23:41
Siyasət
28 Oktyabr 23:20
Dünya
28 Oktyabr 22:41
İqtisadiyyat
28 Oktyabr 22:30
Siyasət
28 Oktyabr 22:26
Sosial
28 Oktyabr 22:18
YAP xəbərləri
28 Oktyabr 22:09
Dünya
28 Oktyabr 21:55

